Get involved with your input. The Township of West Lincoln Growth and Sustainability Committee will hold a public meeting in accordance with the Township’s Site Alteration By-law 2016-41 (as amended). The meeting will take place:
Date: Monday, April 13, 2026Those who wish to provide comments at a meeting virtually (Zoom), must register in advance by contacting Justin Paylove, Manager of Legislative Services/Clerk, at jpaylove@westlincoln.ca or 905-957-3346.
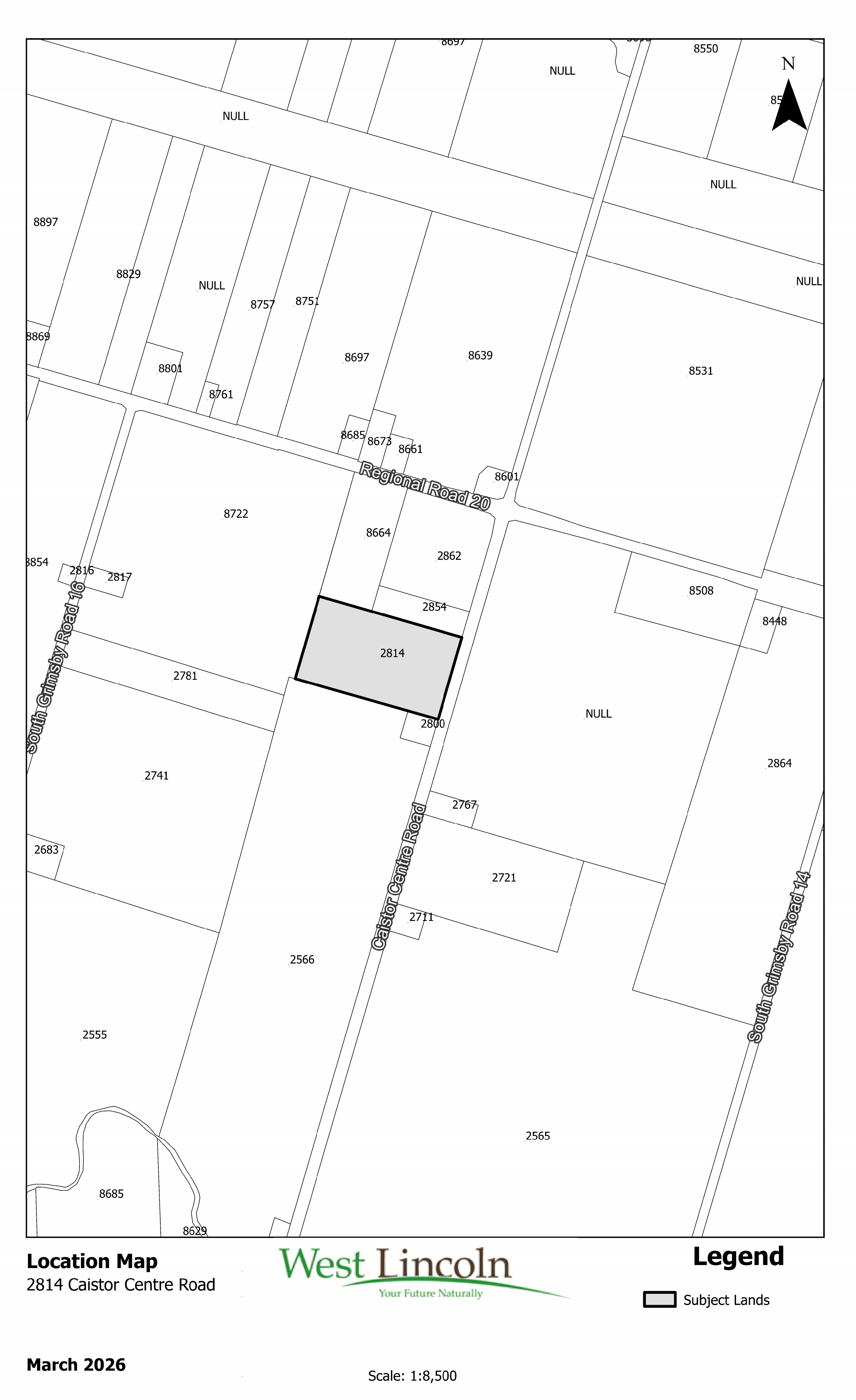
A site alteration permit has been applied for by the owners of 2814 Caistor Centre Road to permit the importation of 3000 cubic meters of wood mulch material that the owners will use for wholesale to landscapers and garden centers. The use is part of a larger operation. The material being required with this application is on site temporarily and will be sold and removed throughout 3 months request. No permanent fill is requested on site. There is approximately 4000-5000 cubic meters of wood mulch already on site.
A site alteration permit approved by Council is required for this site alteration.
Contact for this application:
Ben Agro, Chief Building Official
905-957-3346 ext. 5135
Any person may attend the meeting and/or provide written or verbal representation on the above proposal(s). We ask that any written comments be provided by Wednesday, April 1, 2026, to the Township Clerk so that they may be incorporated into the staff report, however, written comments may be made any time prior to 4:30 p.m. on the date of the meeting on Monday, April 13, 2026. Please be sure to clarify which file your comments apply to.
Planning documents and background material for any application is available for viewing during regular office hours at:
Growth and Sustainability DepartmentCopies of Staff Report will be available at the Township on Friday, April 10, after 4 p.m. If you would like to be notified of Township Council’s decision with respect to any planning application, you must make a written request (specifying the file number) to:
Justin Paylove, Manager of Legislative Services/Clerk
Township of West Lincoln, 318 Canborough Street, Smithville, ON L0R 2A0
